首頁 →本頁    

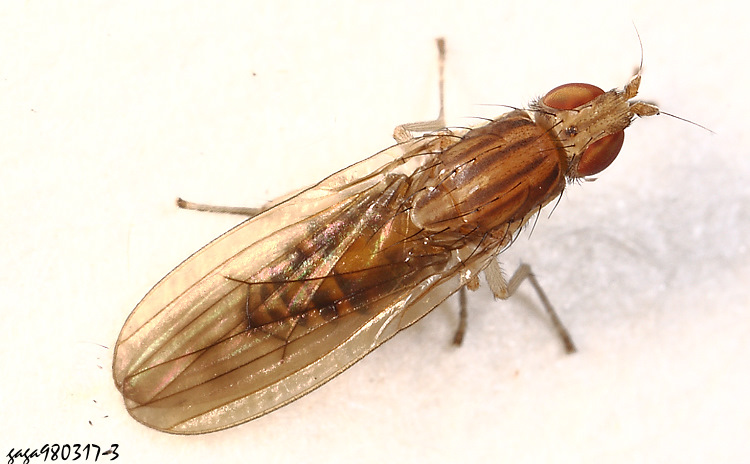
縞蠅 Poecilominettia sexseriata

縞蠅 Poecilominettia sexseriata

↑縞蠅 Poecilominettia sexseriata

(縞蠅)  體長6mm,體色橙褐色,頭部大,頭寬與胸寬長度近似,觸角鞭節線狀,胸背板狹長,背方有4條褐色縱紋,側緣具黑色長鬃毛,腹背各節間具黑褐色環紋,翅膀及各腳淡色透明。種小名sexseriata,暗示其翅膀或身體可能有「六列」或特定的排列特徵。

型態近似Poecilominettia sexseriata,該種紀錄於夏威夷。

本屬目前台灣名錄沒有,本種紀錄於1000-1200公尺山區,幼蟲多生活在腐爛的落葉層或植物組織中,高度依賴濕氣。

(附記)

縞蠅科,有許多種類的翅膀上有獨特的斑點或條紋(這也是「縞」蠅之名的由來,縞意指條紋)。

與果蠅區別: 縞蠅的亞前緣脈(Subcosta)是完整的,且匯入前緣脈(Costa);果蠅的亞前緣脈通常退化或不完整。

與實蠅區別: 實蠅的翅膀通常有更複雜、更鮮豔的幾何圖形,且實蠅的雌蟲通常有很長的產卵管,而縞蠅則無。

關於Poecilominettia sexseriata的分布狀況:

Poecilominettia sexseriata 是一種典型的新熱帶界(Neotropical)物種,但目前已藉由某種途徑(可能是隨人類貿易或自然漂流)擴張至太平洋地區與東方區(包括台灣)。

 原產地:
南美洲: 這是牠們的主要原生區域,記錄包括 阿根廷、玻利維亞、蓋亞那、巴拉圭及秘魯。模式產地(Type localities)即位於巴拉圭。

這種縞蠅展現了強大的「跳島(Island hopping)」能力,已擴散至多個大洋洲島嶼:
夏威夷群島: 被視為引入種。

根據部分文獻(如 Tanasijtshuk 1999),其相關屬性或近似種廣泛分佈於地中海東部至澳洲,涵蓋以下地區:
亞洲: 中國、印度、台灣、越南、阿曼。
非洲: 肯亞、坦尚尼亞、南非、象牙海岸、留尼旺島、維德角。
中東: 以色列。 (以上引用網路AI模式)

縞蠅 Poecilominettia sexseriata

↑縞蠅 Poecilominettia sexseriata

 

 

 


  回總選單  

本頁建製2009年01月15日     更新2026/02/21      網頁、攝影:嘎嘎         版權說明        首頁